조황관리HOME / 조황관리 / 상세정보

제목 : 4월14일 자연피싱호 우럭/광어 출조~^^
등록일 : 2026-04-14




1000054057.jpg


1000054056.jpg


1000054055.jpg


1000054052.jpg


1000054051.jpg


1000054050.jpg


1000054015.jpg


1000054058.jpg


1000054059.jpg


1000054060.jpg

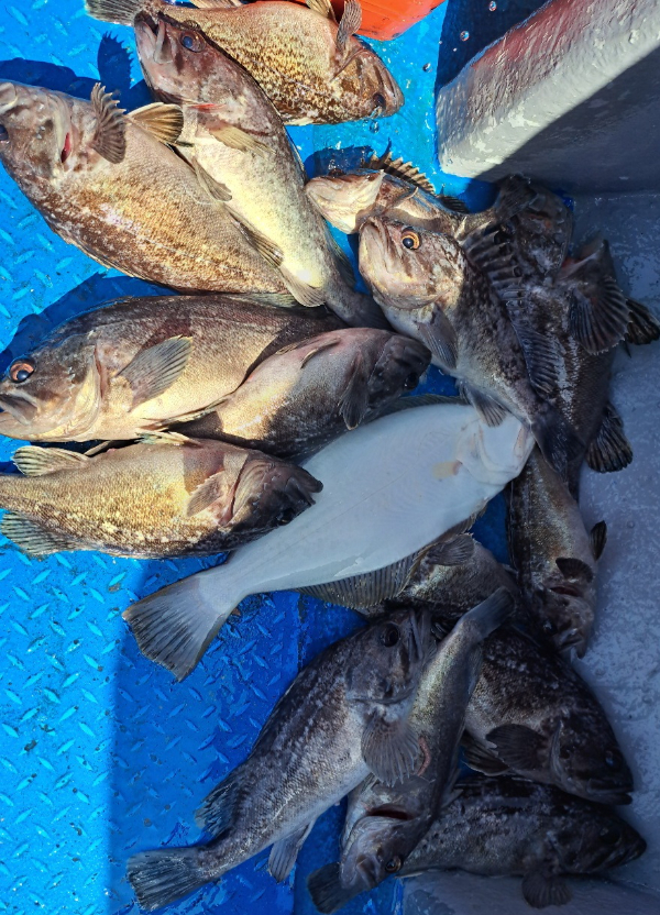
오늘은 6분 조사님 모시고~~~
  역시 다잡아 출조~쉴틈없는 손맛~끝내주쥬~ㅎ
  이젠 광어도 쏠쏠하니 잘나오네요~
 기상만 좋으면 쉴틈없이 느낄수 있는손맛.
  모처럼 이번주주말 여유자석들이 있습니다.
  자연피싱호에서 손맛 느끼실 조사님들은
나들이 오세요~~
  4월17일~여유자석 
  4월18일~여유자석
  4월19일~여유자석 있습니다.

===== 자연피싱호 예약안내 ======


KakaoTalk_20210417_161511045.jpg

안녕하세요! 자연피싱호입니다.
먼길 찾아주시는 조사님들을 위해 항상 최선을 다하겠습니다. 

■ 예약문의 : 010-4899-1182

■ 오시는길
충남 태안군 남면 마검포길 169 (자연피싱호.낚시점)
■ 자연피싱호 실시간 예약 바로가기 : http://nature.sunsang24.com/
■ 계좌안내 : 수협 / 2010-0893-4905 / 황인숙
 

Top