조황관리HOME / 조황관리 / 상세정보

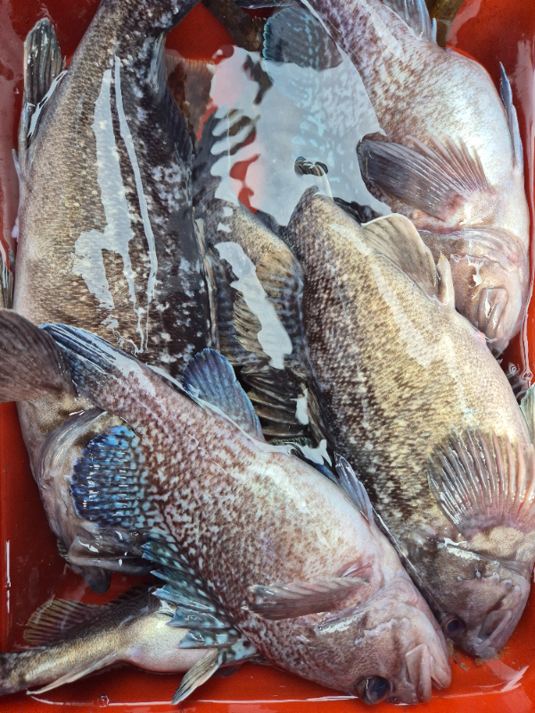
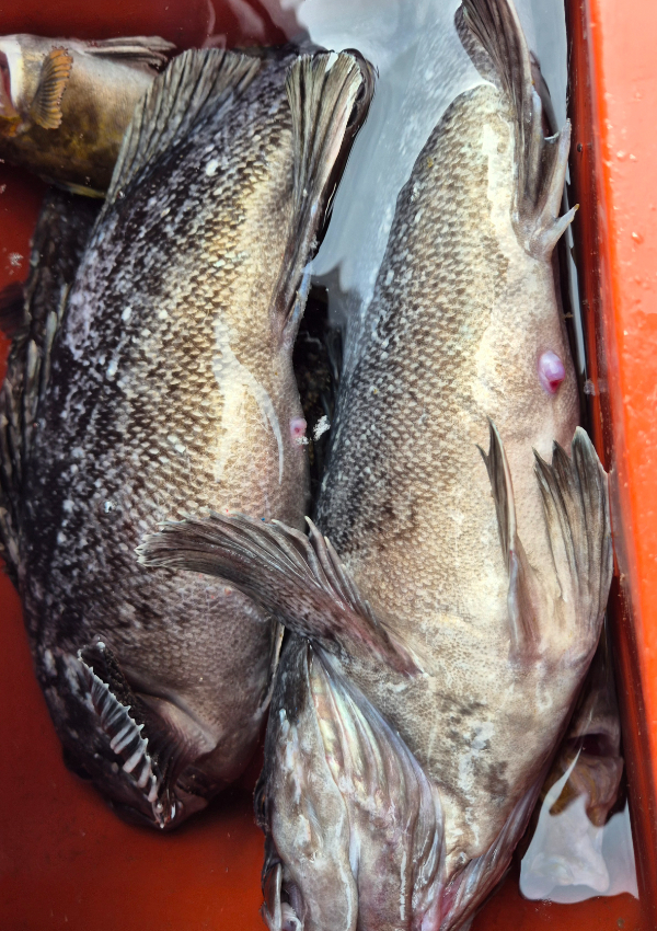
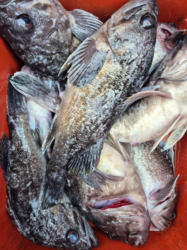
제목 : 4월13일 자연피싱호 우럭출조~^^
등록일 : 2026-04-13



우럭.광어.놀래미~


  황제낚시에 재미난 낚시로 마무리 짓고 입항중입니다.

    고생들 많으셨습니다~^^
1000053902.jpg


1000053901.jpg


1000053900.jpg


1000053899.jpg


1000053897.jpg


1000053893.jpg

1000053890.jpg


1000053889.jpg


1000053887.jpg


1000053885.jpg


1000053863.jpg


1000053871.jpg


1000053874.jpg


1000053876.jpg


1000053877.jpg


1000053879.jpg


1000053896.jpg


1000053883.jpg


1000053881.jpg



===== 자연피싱호 예약안내 ======


KakaoTalk_20210417_161511045.jpg

안녕하세요! 자연피싱호입니다.
먼길 찾아주시는 조사님들을 위해 항상 최선을 다하겠습니다. 

■ 예약문의 : 010-4899-1182

■ 오시는길
충남 태안군 남면 마검포길 169 (자연피싱호.낚시점)
■ 자연피싱호 실시간 예약 바로가기 : http://nature.sunsang24.com/
■ 계좌안내 : 수협 / 2010-0893-4905 / 황인숙
 

Top