조황관리HOME / 조황관리 / 상세정보

제목 : 2월1일 자연피싱호 먼바다 우럭출조~^^
등록일 : 2026-02-01



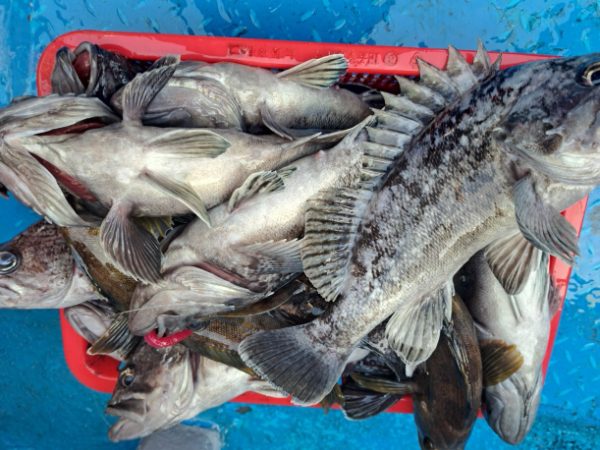
2월1일 먼바다 우럭출조~^^
 
  이번주는 용왕님이 괴기를 내어주지를~
  않네요~(휴~~)
 
  이틀 연속 힘들었습니다.
 
  조사님들도 힘들고 선장님도 힘들고~!!!!

1000051243.jpg


1000051244.jpg


1000051245.jpg


1000051247.jpg


1000051248.jpg


1000051246.jpg


1000051250.jpg


1000051251.jpg


1000051252.jpg


1000051253.jpg


1000051249.jpg

 
  만쿨들 해드리고 싶었는데~~!!!!!!!
 
   추운 날씨에~수고와고생들 많으셨습니다.
   더욱더 열심히 노력하겠습니다.

===== 자연피싱호 예약안내 ======


KakaoTalk_20210417_161511045.jpg

안녕하세요! 자연피싱호입니다.
먼길 찾아주시는 조사님들을 위해 항상 최선을 다하겠습니다. 

■ 예약문의 : 010-4899-1182

■ 오시는길
충남 태안군 남면 마검포길 169 (자연피싱호.낚시점)
■ 자연피싱호 실시간 예약 바로가기 : http://nature.sunsang24.com/
■ 계좌안내 : 수협 / 2010-0893-4905 / 황인숙
 

Top