조황관리HOME / 조황관리 / 상세정보

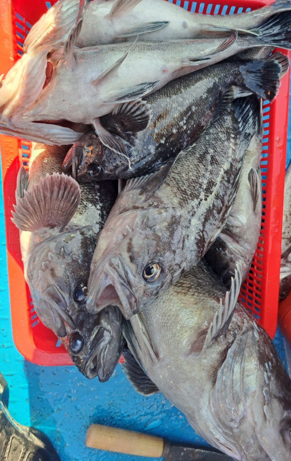
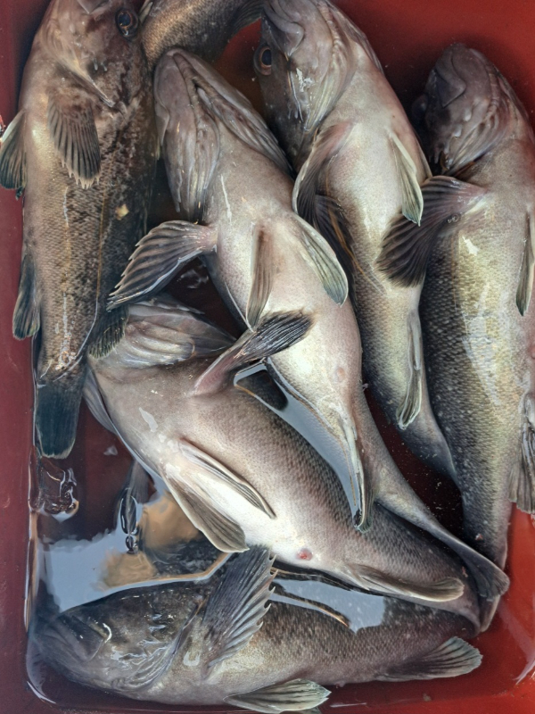
제목 : 12월30일 자연피싱호 우럭출조~^^
등록일 : 2025-12-31



12월30일 자연피싱호 우럭출조~^^
 
   어제도 역시 기상이~~!!!
겨울철에도  바람.너울없는 좋은날만
  쭉~이여졌음 좋겠네요~(ㅠ)
 
    어젠 사무장 공석으로 조과사진을
   많이 못찍었습니다.
 
  그래도 궁금해 하시는 자연피싱호횐님들을
     위해서 몇장 올립니다~^^

1000049290.jpg


1000049285.jpg


1000049293.jpg


1000049302.jpg


1000049304.jpg


1000049291.jpg


1000049291.jpg


1000049289.jpg


1000049286.jpg


1000049305.jpg


1000049308.jpg


1000049310.jpg


1000049309.jpg


1000049287.jpg


1000049288.jpg


1000049306.jpg

 

===== 자연피싱호 예약안내 ======


KakaoTalk_20210417_161511045.jpg

안녕하세요! 자연피싱호입니다.
먼길 찾아주시는 조사님들을 위해 항상 최선을 다하겠습니다. 

■ 예약문의 : 010-4899-1182

■ 오시는길
충남 태안군 남면 마검포길 169 (자연피싱호.낚시점)
■ 자연피싱호 실시간 예약 바로가기 : http://nature.sunsang24.com/
■ 계좌안내 : 수협 / 2010-0893-4905 / 황인숙
 

Top