조황관리HOME / 조황관리 / 상세정보

제목 : 12월10일 자연피싱호 먼바다 우럭출조~^^
등록일 : 2025-12-10



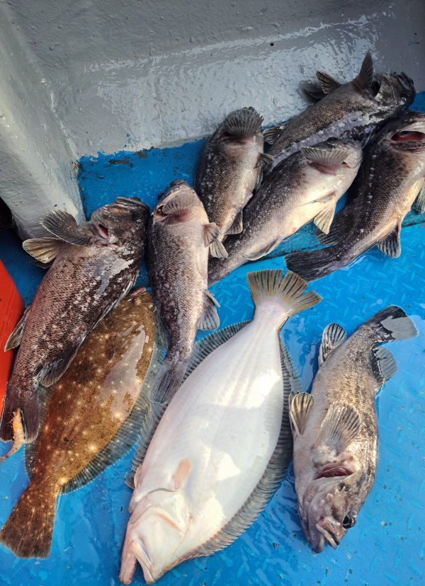
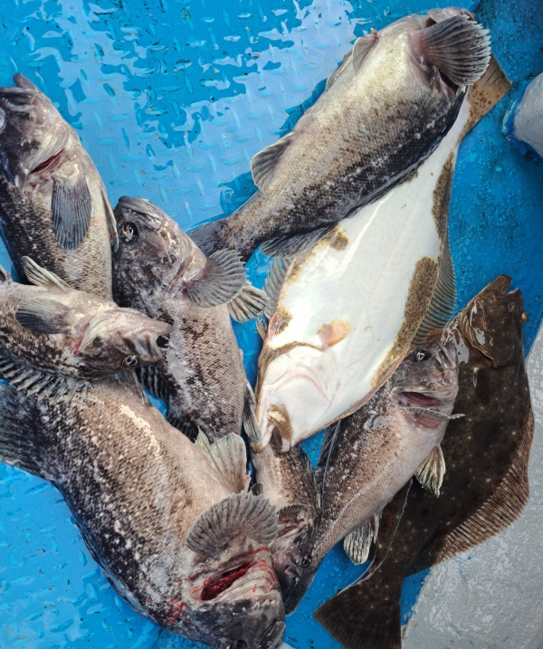
오늘은 8분 조사님 모시고~
  조촐하게 황제 우럭낚시 출조~^^
 
  싸이즈 좋은 녀석들로  골고루
손맛들 보시고 입항~~ㅎ
 
  예보와는 틀리게 바람 너울이~포인트
진입이 쉽지 않았는데  열심히들 해주셔서
    넘~넘~감사 드립니다.
 
  2026
1000048233.jpg


1000048234.jpg


1000048235.jpg


1000048236.jpg


1000048237.jpg


1000048238.jpg


1000048239.jpg


1000048240.jpg


1000048241.jpg


1000048242.jpg


1000048243.jpg


1000048244.jpg


1000048246.jpg


1000048247.jpg


1000048248.jpg


1000048232.jpg

년1월1일 새해맞이 떡꾹 출조
         합니다.
 
  밝아 오는 새해를 바라보면서 따뜻한
떡국 한그릇 하시면서 자연피싱호와
     한해의 소원.소망 기원 하실분들
  모십니다~^^
 


===== 자연피싱호 예약안내 ======


KakaoTalk_20210417_161511045.jpg

안녕하세요! 자연피싱호입니다.
먼길 찾아주시는 조사님들을 위해 항상 최선을 다하겠습니다. 

■ 예약문의 : 010-4899-1182

■ 오시는길
충남 태안군 남면 마검포길 169 (자연피싱호.낚시점)
■ 자연피싱호 실시간 예약 바로가기 : http://nature.sunsang24.com/
■ 계좌안내 : 수협 / 2010-0893-4905 / 황인숙
 

Top