조황관리HOME / 조황관리 / 상세정보

제목 : 5월18일 자연피싱호 다잡아출조~^^
등록일 : 2025-05-18



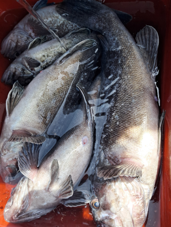
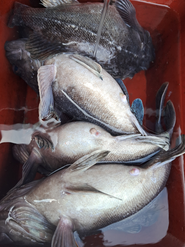
오늘은~
 
  싸이즈.마릿수~다 뽑아 버렸습니다.
 
이게바로 진정한 낚시의 찐맛이쥬~ㅋ
 
   조사님들도 신나고 선장도 신나고~~
오랫만에 만쿨각~이쥬~ㅎ
 
  이제 드디어 고기들이 조사님들을
만날 준비를 한듯 합니다.
 
  이젠 달리셔도 될듯 합니다.~^^
 
  오늘 하루도 우리 조사님들 수고와고생들 많으셨습니다.
1000026862.jpg


1000026861.jpg


1000026860.jpg


1000026859.jpg


1000026853.jpg


1000026854.jpg


1000026851.jpg


1000026802.jpg


1000026803.jpg


1000026852.jpg


1000026848.jpg


1000026849.jpg


1000026850.jpg


1000026846.jpg


1000026847.jpg


1000026844.jpg


1000026841.jpg


1000026842.jpg


1000026836.jpg


 

===== 자연피싱호 예약안내 ======


KakaoTalk_20210417_161511045.jpg

안녕하세요! 자연피싱호입니다.
먼길 찾아주시는 조사님들을 위해 항상 최선을 다하겠습니다. 

■ 예약문의 : 010-4899-1182

■ 오시는길
충남 태안군 남면 마검포길 169 (자연피싱호.낚시점)
■ 자연피싱호 실시간 예약 바로가기 : http://nature.sunsang24.com/
■ 계좌안내 : 수협 / 2010-0893-4905 / 황인숙
 

Top